oferta specjalna
0
ofert
Grupa Premium

zostaw wiadomość
260,00 zł/m2 cena: 469 560 zł

Udostępnij ofertę

Opis nieruchomości

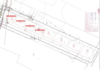
OFERTA SPRZEDAŻY DZIAŁEK W MIEJSCOWOŚCI LEWICKIE TYLKO W NASZYM BIURZE!

Polecamy Państwu atrakcyjne działki położone w malowniczej miejscowości Lewickie gmina Juchnowiec Kościelny. Działki o powierzchni od 1799 mdo 2133m2  z wydanymi warunkami zabudowy dla zabudowy mieszkaniowej jednorodzinnej.

W pobliżu nowa zabudowa jednorodzinna. 

Media : kanalizacja - projektowana,wodociąg, gaz oraz prąd w ulicy.
       
Atrakcyjna lokalizacja i cena.

Cena: 260 zł/m2 


DOSTĘPNE POWIERZCHNIE (W ZAKŁADCE ZDJĘCIA ZAZNACZONE ZOSTAŁY DZIAŁKI ZGODNIE Z NUMERACJĄ)



Działki:

1-852 m2 

2- 1806 m2 


3– 1816 m2; 45m x 40m

6 – 1799 m2;  45m x 38m

7 – 2088 m2; 45m x 45m

8- 1338 m2 ;  - SPRZEDANE

9- 1892 m2  - SPRZEDANE

10- 1891 m2 

11 - 1891m2 

14 - 2133m2 









 

Nota prawna

Opis oferty zawarty na stronie internetowej sporządzany jest na podstawie oględzin nieruchomości oraz informacji uzyskanych od właściciela, może podlegać aktualizacji i nie stanowi oferty określonej w art. 66 i następnych K.C.

Szczegóły

Symbol oferty ARE-GS-589
Powierzchnia 1 806,00 m²
Przeznaczenie działki budowlana
Wymiary działki 45x39 m
Ukształtowanie działki płaska
Kształt działki prostokąt
Gaz jest
Woda jest
Prąd jest
Kanalizacja tak

Dane:

PLN
%

Wynik:

PLN
pierwsza rata
ostatnia rata
PLN
PLN
PLN
PLN
PLN
PLN
PLN
%
PLN
PLN
PLN

PLN

Uwaga: mogą wystąpić dodatkowe opłaty za założenie księgi wieczystej oraz ustanowienie hipoteki.

Juchnowiec Kościelny, Kleosin
działka na sprzedaż

AGP-GS-895

Działka o powierzchni 800m2 położona w pobliskiej miejscowości Kleosin. Wymiary ok. 22 x 36 dostęp do wszystkich medii, dojazd drogą utwardzoną ( polbruk ). Teren objęty miejscowym planem zagospodarowania przestrzennego, przeznaczony pod budownictwo mieszkalne i usługi. ...

Powierzchnia
800,00 m2
Cena za m2
525,00 zł
cena 420 000
działka na sprzedaż - Juchnowiec Kościelny, Kleosin

Juchnowiec Kościelny, Horodniany
działka na sprzedaż

AGP-GS-2835

Na sprzedaż działka leśna o powierzchni 7814m2 w miejscowości Horodniany. Działka w kształcie prostokąta, porośnięta 100-letnim lasem(sosny). Istnieje również możliwość nabycia działki o powierzchni 9028m2. ___

Powierzchnia
7 814,00 m2
Cena za m2
65,00 zł
cena 507 910
działka na sprzedaż - Juchnowiec Kościelny, Horodniany

Juchnowiec Kościelny, Księżyno
działka na sprzedaż

AGP-GS-3051

Polecamy działkę w miejscowości Księżyno gmina Juchnowiec Kościelny. Działka o powierzchni 950m2 w kształcie prostokąta o wymiarach 26x36. Działka posiada uzyskane warunki zabudowy na budownictwo jednorodzinne. Nieruchomość z dostępem do energii elektrycznej, wodociągu, ...

Powierzchnia
950,00 m2
Cena za m2
420,00 zł
cena 399 000
działka na sprzedaż - Juchnowiec Kościelny, Księżyno

Juchnowiec Kościelny, Ignatki, Przemysłowa
działka na sprzedaż

ALT-GS-1135

Odkryj Idealne Działki w Ignatkach – Twoje Miejsce na Własny Dom! Marzysz o własnym domu w spokojnej okolicy? Mamy dla Ciebie doskonałą propozycję! Przedstawiamy wyjątkowe, kształtne i foremne działki w  Ignatkach przy ul. Przemysłowej, gmina Juchnowiec Kościelny. To ...

Powierzchnia
1 137,00 m2
Cena za m2
307,83 zł
cena 350 000
działka na sprzedaż - Juchnowiec Kościelny, Ignatki, Przemysłowa

Napisz do nas

Proszę wypełnić to pole
Proszę wypełnić to pole
Proszę wypełnić to pole
Proszę wypełnić to pole
Trwa wysyłanie...

Ta strona wykorzystuje pliki cookies w celach statystycznych oraz w celu dostosowania naszych serwisów do indywidualnych potrzeb klientów. Zmiany ustawień dotyczących plików cookie można dokonać w dowolnej chwili modyfikując ustawienia przeglądarki. Korzystanie z tej strony bez zmian ustawień dotyczących cookies oznacza, że będą one zapisane w pamięci urządzenia.

rozumiem